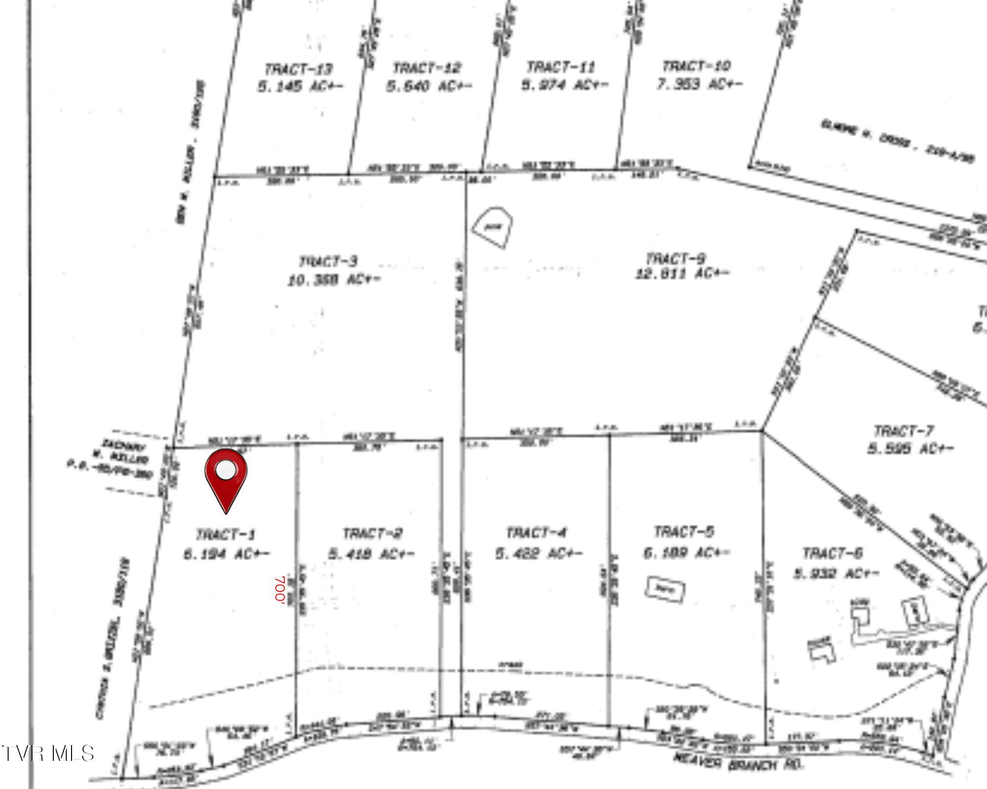
Lot 1 Weaver Branch RdBluff City, TN 37618




Mortgage Calculator
Monthly Payment (Est.)
$821Looking for the perfect place to build? Don't miss this one! Offering just over 6 acres in Bluff City, this property is set up exactly how people want it--open, usable, and paired with a peaceful creek and mountain views that give it that true East Tennessee feel! Whether you envision a primary residence, a weekend getaway, or a small homestead, this site gives you the space and flexibility to bring it to life. Plenty of room for a homesite, garden, outdoor living, or even a few animals if that's your style. Water and power are available at the road, and light restrictions are in place to help protect the integrity of the area, including no mobile homes allowed. The setting strikes a great balance--private and quiet, yet still convenient to everything with no city taxes. You're just minutes from Boone Lake, close to Bristol and Johnson City, and have easy access to Hwy 11E for everyday travel. Recently surveyed with clearly marked boundaries, making it easy to walk and truly get a feel for the land. Opportunities like this are getting harder to find; if you've been thinking about building, this is one you'll want to walk in person! Priced to sell at $179k, call today to schedule your appointment! All information contained herein is gathered from third party sources, tax records, homeowner and is subject to buyers and buyers agent verification.
| 3 days ago | Listing first seen on site | |
| 3 days ago | Listing updated with changes from the MLS® |
Listing information is provided by Participants of the Tennessee Virginia Regional MLS. IDX information is provided exclusively for personal, non-commercial use, and may not be used for any purpose other than to identify prospective properties consumers may be interested in purchasing. Information is deemed reliable but not guaranteed. Copyright 2026, Tennessee Virginia Regional MLS.
Data last updated at: 2026-03-23 01:02 PM UTC
Did you know? You can invite friends and family to your search. They can join your search, rate and discuss listings with you.